How Climate Change Alters Tropical Cyclones in Southeast Asia
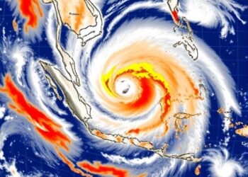
In a groundbreaking study published in Commun Earth Environ, researchers have delved into the seasonal variations of tropical cyclone genesis ...
In a groundbreaking study published in Commun Earth Environ, researchers have delved into the seasonal variations of tropical cyclone genesis ...
The American Geophysical Union (AGU), the preeminent global organization representing Earth and space scientists, in close collaboration with the American ...
Success! An email was just sent to confirm your subscription. Please find the email now and click 'Confirm Follow' to start subscribing.
© 2025 Scienmag - Science Magazine
© 2025 Scienmag - Science Magazine